Property Detail

21 Hot Mineral Spa

Niland CA 92257

$27,000

Status: Active

Property Details

Description

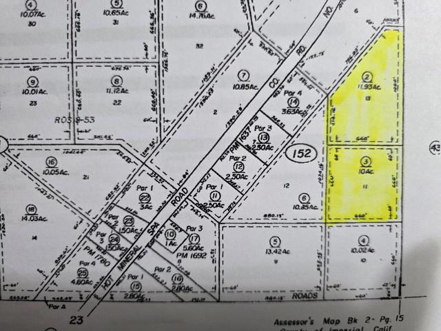
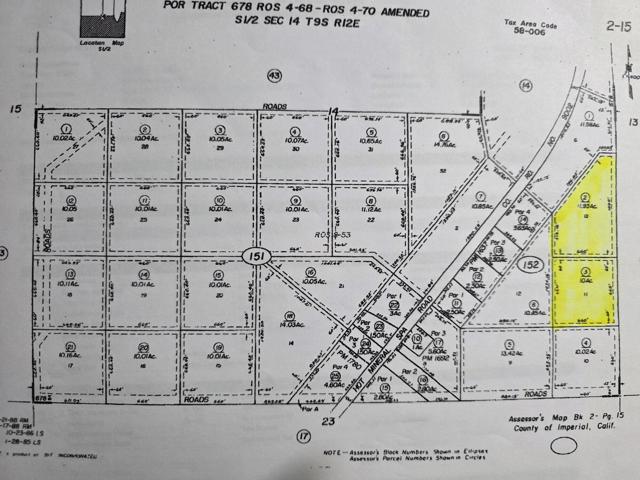
Niland, Ca. 21.93 acres More or Less off of Hot Mineral Spa Rd. Located on East side of Hot Mineral Spa Rd, South of Spa Rd. Zoned S-1-RE. APN 002-152-002-000 11.59 ac M/L gps Lat 33.368124 / Long -115.683277 and APN 002-152-003-000 9.83 ac M/L Lat 33.386081 Long -115.683442. Located East of Bombay Beach. Build your dream ranch or buy and hold for investment. Area known for Hot Mineral Spas / Waters and gorgeous winter weather.

Map Location

Listing provided courtesy of Michelle Gold of Desert Gold Properties, Inc.. Last updated 2026-02-22 09:20:43.000000. Listing information © 2025 CRMLS.

Inquire Now
admin Real estate https://s3.amazonaws.com/static.organiclead.com/Site-48750597-fad4-4739-909d-ca390a15c8e5/theme1/realtor.jpg Broker/Owner # # # https://s3.amazonaws.com/static.organiclead.com/Site-48750597-fad4-4739-909d-ca390a15c8e5/theme1/realtor.jpg