Property Detail

3731 Morrow

Chico CA 95928

$919,000

Status: Active

Property Details

Description

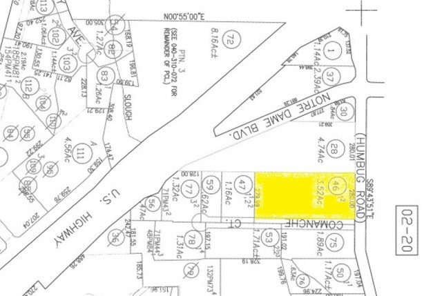
A rare opportunity to acquire 3.52 acres of prime commercial-industrial land in one of Chico’s most established trade and contractor hubs. Strategically positioned at the corner of Morrow Lane and Comanche Court, this property sits within the highly desirable commercial district off the Skyway, surrounded by major operators including Home Depot and Payless Building Supply. Zoned ML – Light Manufacturing, the site supports a wide range of commercial, industrial, and service-oriented uses, making it an ideal location for owner-users, developers, or investors seeking to capitalize on Chico’s industrial market. The seller has completed preliminary planning for two proposed buildings: Building A: ~17,753 SF. Building B: ~14,966 SF. Or build out your own plan to suit your needs. See Supplemental Documents for soils report and engineering site plans. The back portion of the property is now being used as a laydown yard storage yard for a construction company.

Map Location

Listing provided courtesy of Michael Donnelly of Commercial Brokers of California. Last updated 2025-12-11 09:43:01.000000. Listing information © 2025 CRMLS.

Inquire Now
admin Real estate https://s3.amazonaws.com/static.organiclead.com/Site-48750597-fad4-4739-909d-ca390a15c8e5/theme1/realtor.jpg Broker/Owner # # # https://s3.amazonaws.com/static.organiclead.com/Site-48750597-fad4-4739-909d-ca390a15c8e5/theme1/realtor.jpg